直升机的起飞及着陆
直升机的起飞

直升机利用旋翼拉力从离开地面、并增速上升至一定高度的运动过程叫做起飞。直升机具有多种起飞方式,可以垂直起飞,也可以像固定翼飞机一样滑跑起飞。具体采用何种方式起飞,必须根据场地面积的大小、大气条件、周围障碍物的高度和起飞重量大小等具体情况决定。
垂直起飞是直升机从垂直离地到一定高度上悬停,然后按一定的轨迹爬升增速的过程。 爬升高度视周围障碍物的高度而定。一般而言,作为起飞过程完成的离地高度约为20—30m,速度接近其经济速度。直升机根据不同的具体情况,可以采用两种不同的垂直起飞方法。
正常垂直起飞

正常垂直起飞是指场地净空条件 较好,直升机垂直离地约0.15—0.25 个旋翼直径的高度,即部分利用旋翼 的地面效应,进行短暂悬停,检查一 下发动机情况,然后以较小的爬升角 增速爬升到一定高度的过程。在这个 过程中直升机旋翼的需用功率变化很大。在速度从零增速至经济速度的范 围内,直升机的受力状态变化很大。 对操纵动作的协调性要求很高。下图为某型直升机正常垂直起飞过程的飞行轨迹和有关操纵量的变化。
超越障碍物起飞

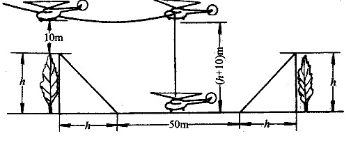
这种起飞方式是在场地周围有一定高度的障碍,并且场地比较狭小时 采用。与正常垂直起飞方式不同的是 垂直离地的悬停高度增高了,如果周 围障碍物的高度为h,起飞悬停高度 应不小于(10+h)m,以保证直升机 能安全超越障碍,如下图所示。
由于悬停高度比正常垂直起飞时高出很多,因此这种起飞方式是在无地效高度上悬停,悬停需用功率较大。利用这种起飞方式时,为了在增速过程中不致掉高度,并要求发动机有部分剩余功率,以保证起飞安全。
滑跑起飞

当直升机的载重量过大或者机场标高及其他气象条件使直升机无法垂直起飞时,它可以像固定翼飞机那样采用滑跑方式起飞。直升机的滑跑起飞,省去了垂直离地和近地面悬停这两个阶段,而分成地面滑跑增速和空中增速两个阶段进行。直升机增速至一定速度以后,由于旋翼需用功率的减小,就有足够的功率来增加旋翼的拉力,克服重力升空。随着飞行速度进一步增加,旋翼需用功率进一步下降,这时直升机就有部分剩余功率用来爬升和增速,完 成整个起飞过程。直升机的滑跑起飞过程如下图所示。
直升机的着陆
直升机从一定高度下降,减速、降落到地面直至运动停止的过程称为着陆,是起飞的逆过程。
正常垂直着陆

对于预定着陆地点场地净空条件好的情况,尽量采用正常垂直着陆,其着陆过程的飞行轨迹如下图所示。以这种方式着陆的做法是:以一定的下滑角大致向预定点下降,并逐渐减速, 在接近着陆预定点前,直升机作小速度贴地飞行,旋翼处在地面效应影响范围内。由于充分利用了地效,需用功率减小。在到达预定点的上空3—4m高度上作短时间悬停,再以0.2—0.1m/s的下降率垂直下降直至接地。这种着陆方式对着陆场地表面质量要求少,场地面积相对来说比较小。
超越障碍物垂直着陆
当着陆场地面积狭小,周围又有一定高度的障碍物,直升机在接近场地空间不允许作小 速度的贴地飞行,此时就采用超越障碍物垂直着陆方式着陆。其飞行轨迹如下图所示。它与正常垂直着陆不同的是作减速和接地前短暂悬停高度不同,由于悬停不能利用地效,这种方式的需用功率较大。同时着陆点附近又有障碍物,直升机纵横向不允许较大的位移,操纵难度大一些。
滑跑着陆

直升机在高原、高温地区,或载重量较大时,可用功率不足以允许用垂直着陆方式着陆,可以像固定翼飞机一样进行滑跑着陆。其着陆飞行轨迹如下图所示。滑跑着陆与 垂直着陆不问,直升机在按地瞬间,不但具有垂直速度,同时还有水平速度。直升机在接地 后有一个滑跑过程,可进一步利用旋翼产生一个减速的水平分力,使直升机继续减速直至运动停止。
旋翼自转状态的下滑着陆
在不同的可用功率下具有不同的下滑特性,当可用功率为零(如发动机关闭),这时旋翼作自转状态下降。这种工作状态,完全依靠直升机下降时重力位能作功提供给旋翼来产生拉力平衡重力。